Rif: abitazione rurale immobiliare ex azienda agricola
TERNI
TERNI - zona Valserra - Valnerina
Nel suggestivo contesto verde del Parco della Valserra, a Giuncano Scalo – zona stazione, a circa 10 km da Terni Est, proponiamo in vendita importante compendio immobiliare derivante da ex azienda agricola.
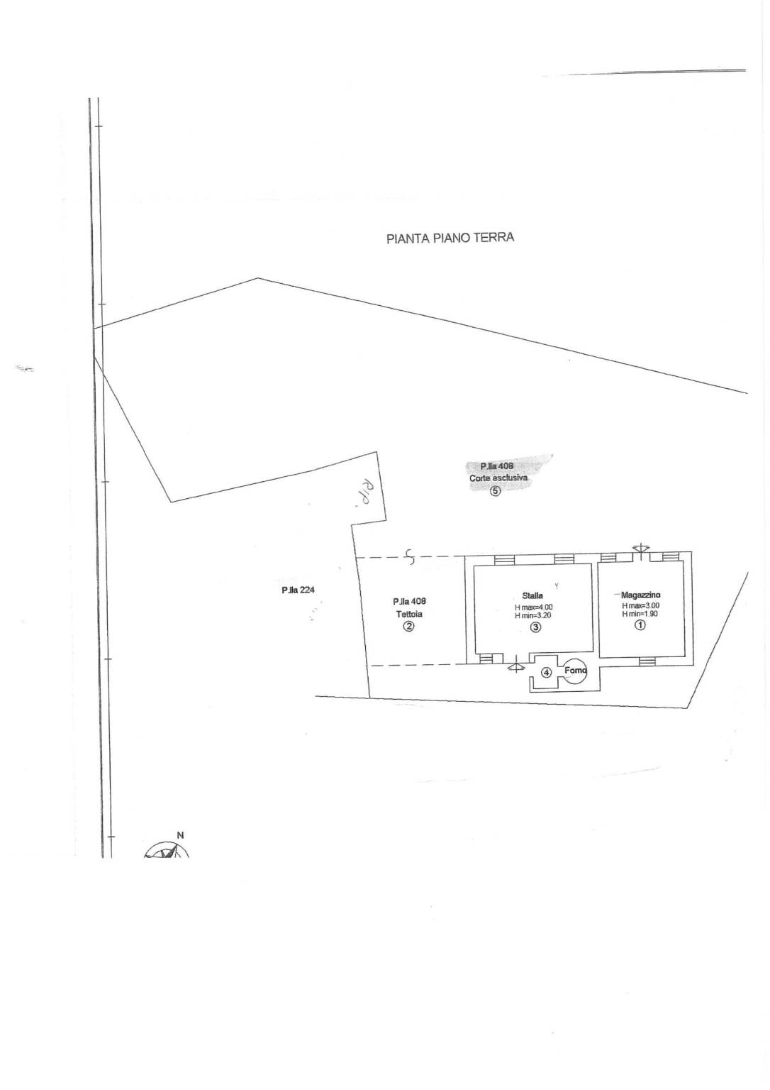
La proprietà comprende una porzione di abitazione rurale semi-indipendente disposta su tre livelli, completamente da ristrutturare, per una superficie complessiva di 252 mq, oltre a tre fabbricati agricoli categoria D/10 per un totale di 1.328 mq. Completano la proprietà una corte esclusiva di 390 mq, terreni seminativi contigui per 47.520 mq e terreni boschivi distaccati per 5.780 mq.
Le ampie superfici agricole e la presenza di più fabbricati rendono l'immobile particolarmente adatto a imprenditori agricoli, aziende, allevamenti, agriturismi, fattorie didattiche o interventi di recupero e valorizzazione rurale.
La proprietà comprende una porzione di abitazione rurale semi-indipendente disposta su tre livelli, completamente da ristrutturare, per una superficie complessiva di 252 mq, oltre a tre fabbricati agricoli categoria D/10 per un totale di 1.328 mq. Completano la proprietà una corte esclusiva di 390 mq, terreni seminativi contigui per 47.520 mq e terreni boschivi distaccati per 5.780 mq.
Le ampie superfici agricole e la presenza di più fabbricati rendono l'immobile particolarmente adatto a imprenditori agricoli, aziende, allevamenti, agriturismi, fattorie didattiche o interventi di recupero e valorizzazione rurale.
Consistenze
| Descrizione | Superficie | Sup. comm. |
|---|---|---|
| Principali | ||
| Immobile - piano terra | 150 Mq | 150 Mqc |
| Immobile - 1° piano | 81 Mq | 81 Mqc |
| Cantina - seminterrato | 103 Mq | 26 Mqc |
| Accessorie | ||
| Altro - piano terra | 84 Mq | 21 Mqc |
| Esterno - piano terra | 390 Mq | 98 Mqc |
| Altro - piano terra | 1.328 Mq | 332 Mqc |
| Terreno - piano terra | 47.520 Mq | 11.880 Mqc |
| Terreno - piano terra | 5.780 Mq | 1.445 Mqc |
| Totale | 14.033 Mqc | |








